Cargando mercados...
Redacción TVOAI News |

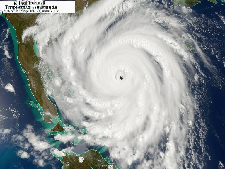
Pronostican trayectoria incierta para la tormenta tropical 'Idalia'

La tormenta tropical 'Idalia' ha aumentado su intensidad y se espera que se convierta en huracán en los próximos días, aunque su trayectoria aún es incierta. Según los pronósticos de la Comisión Nacional del Agua (Conagua), se espera que Idalia evolucione de tormenta tropical a huracán categoría 1 en las próximas horas. Sin embargo, no se sabe a ciencia cierta hacia dónde se dirigirá después de su posible intensificación. Hasta el momento, Idalia se encuentra a 340 kilómetros al noreste de Cabo Catoche, Quintana Roo, y se está alejando gradualmente de las costas de la Península de Yucatán. Se esperan chubascos y lluvias fuertes en Yucatán y Quintana Roo, así como chubascos en Campeche debido a las bandas nubosas de la tormenta. Por otro lado, en Florida se están tomando precauciones ante la posible llegada de Idalia. Los residentes han comenzado a abastecerse y evacuar las zonas bajas a lo largo de la costa del Golfo de México. Según el Centro Nacional de Huracanes (NHC), se espera que Idalia tenga vientos sostenidos de hasta 193 kilómetros/hora (120 millas por hora), lo que lo convertiría en un huracán de categoría 3. Sin embargo, la trayectoria exacta de la tormenta aún no se conoce. Las autoridades en Florida han declarado estado de emergencia para 46 condados y han desplegado a más de 1,100 elementos de la Guardia Nacional. También se han emitido avisos de evacuación en 21 condados y se han suspendido servicios como el aeropuerto y el tren de cercanías. La temporada de huracanes de este año se prevé más intensa de lo esperado debido a las altas temperaturas de los océanos. Se insta a la población a estar preparada y seguir las indicaciones de las autoridades mientras se monitorea la evolución de la tormenta 'Idalia'.

Compartir noticia

Copyright ©2026 Todos los derechos reservados | TVOAI